Cần bán 7.297,5m² trong đó có 4.800m² phường Dĩ An, Tp. Dĩ An, Bình Dương
  • đ130Tỷ/Căn

Bao Quát

  • 1998502
    Mã Đăng
  • Đất Nền
    Loại BĐS
  • 1
    P.Ngủ
  • 1
    P.Tắm
  • 2
    Nhà Xe
  • 7 m²
    Area Size
  • 7 m²
    Diện tích đất

Mô tả chi tiết

– Chính chủ bán đất trung tâm hành chính – Phường Dĩ An, Tp. Dĩ An, Bình Dương nay thuộc Phường Dĩ An Tp. Hcm.
– Vị trí siêu đẹp: Nằm ngay trung tâm hành chính TP. Dĩ An.
– Kết nối thuận tiện TP. HCM chỉ vài phút qua Xa lộ Hà Nội, Quốc lộ 1K, Phạm Văn Đồng.
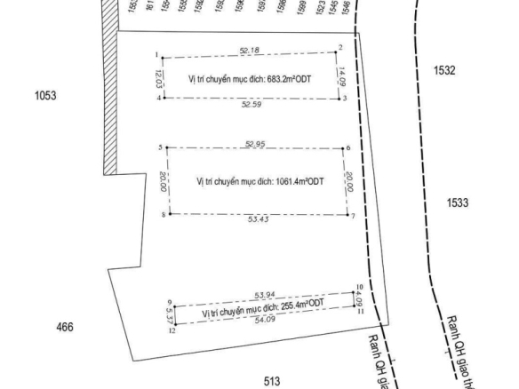
– Tổng diện tích: 7.297,5m² trong đó có 4.800m² thổ cư.
– Chính chủ bán – sổ hồng riêng – sang tên ngay.
– Hạ tầng tiềm năng:
+ Nằm trong khu vực quy hoạch đường 18m, kết nối trực tiếp trung tâm hành chính TP. Dĩ An.
+ Khu dân cư hiện hữu, thuận tiện phát triển dự án biệt thự, nhà phố, khu thương mại…

– Giá bán chính chủ: 130 tỷ đồng (~17,8 triệu/m² giá rất tốt cho khu vực trung tâm, pháp lý sạch, đất đẹp).

Chi Tiết

Updated on July 21, 2025 at 12:25 pm
  • Mã Đăng 1998502
  • Giá đ130Tỷ/Căn
  • Diện tích nhà 7 m²
  • Diện tích đất 7 m²
  • P.Ngủ 1
  • P.Tắm 1
  • Nhà Xe 2
  • Loại BĐS Đất Nền
  • Hiện Trạng Mua Bán

Địa Chỉ

  • Thành Phố: Bắc Tân Uyên
  • Tỉnh Thành: Bình Dương
  • Quốc Gia: Việt Nam

Đặt hẹn coi

Kiểu cách Hẹn

Tính trả góp

Tiện ích xung quanh khu vực

Thông tin liên lạc

Xem bài đăng
Hoang0905045042

Yêu cầu thêm thông tin

0 Review

Sort by:
Leave a Review

Leave a Review

BĐS tương tự