BÁN ĐẤT CHỈ 73 TRIỆU/M2 – FULL THỔ – ĐƯỜNG 30M MẶT TIỀN LÊ THỊ RIÊNG
- đ36Tỷ/Căn
- đ36Tỷ/Căn
Bao Quát
- 1970277
- Đất Nền
- 0
- 0
- 0
- 489 m²
- 489 m²
Mô tả chi tiết
BÁN ĐẤT MẶT TIỀN LÊ THỊ RIÊNG – GIÁ TRONG HẺM
CHỈ 73 TRIỆU/M2 – FULL THỔ CƯ – ĐƯỜNG 30M – VỈA HÈ KHỦNG 9M
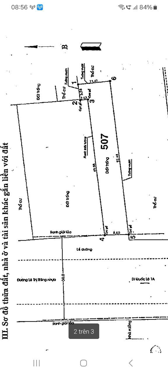
Vị trí đắc địa ngay mặt tiền đường Lê Thị Riêng, Thới An – Quận 12
Diện tích khủng: 8.6 x 55m, nở hậu 12m – Tổng công nhận 489m² thổ cư 100%
Mặt tiền đường 30m, vỉa hè mỗi bên 9m, cực kỳ thuận tiện mở:
Nhà hàng – Café sân vườn – Phòng khám – Showroom – Văn phòng – Xây cao ốc, building… Giá chỉ: 36 TỶ – Bằng giá đất trong hẻm – Cơ hội đầu tư siêu lời
Pháp lý chuẩn – Sổ hồng riêng – Giao dịch sang tên ngay
Liên hệ ngay để xem đất thực tế – Đừng bỏ lỡ mặt tiền hiếm có trên thị trường!
Liên hệ ngay: [ Ms Mỹ – 0909.805.456 ] – Gọi sớm để chốt giá đẹp, giữ vị trí tốt!
Chi Tiết
Updated on July 11, 2025 at 11:59 am-
Mã Đăng 1970277
-
Giá đ36Tỷ/Căn
-
Diện tích nhà 489 m²
-
Diện tích đất 489 m²
-
P.Ngủ 0
-
P.Tắm 0
-
Nhà Xe 0
-
Loại BĐS Đất Nền
-
Hiện Trạng Mua Bán
Địa Chỉ
-
Thành Phố: Quận 12
-
Tỉnh Thành: Hồ Chí Minh
-
Quốc Gia: Việt Nam
Tính trả góp
-
Tiền Cọc
-
Tiền Vay
-
Tiền nhà trả hàng tháng
Tiện ích xung quanh khu vực
Thông tin liên lạc
Xem bài đăng0 Review
BĐS tương tự
- Đất Nền
- đ13Tỷ/Căn
- Đất Nền
- đ29Tỷ/Căn
- Đất Nền
- đ29Tỷ/Căn
